Экс-нардепа Кивалова обвиняют в попытке захвата курортной земли под элитные коттеджи

Экс-нардепа Кивалова обвиняют в попытке захвата курортной земли под элитные коттеджи
Ряд телеграм-каналов и одесских сайтов разместили информацию о том, что почетный президент Одесской юридической академии, почетный гражданин Одессы и Одесской области, кандидат на пост мэра Одессы Сергей Кивалов перед выборами умудрился вляпаться в очередной скандал.
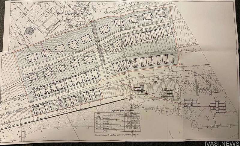
Речь идёт о застройке 6 га одесских склонов элитными коттеджами. В 2009 году Кивалов получил земельный участок прибрежной зоны под строительство общежития для студентов Международного гуманитарного университета, президентом которого, собственно, и является Сергей Кивалов. Кстати, на этой же территории расположены его личные апартаменты, в народе именуемые «Замок Гарри Поттера».
Согласно эскизному проекту, спальные общежития университета больше напоминают элитное жилье, нежели скромную студенческую обитель. Оказалось — не казалось. Ибо, как утверждают авторы телеграма, на деле выяснилось, что это и будут трехэтажные элитные коттеджи стоимостью от 500 тысяч долларов за общежитие, т.е. VIP-дом.

Застройка планируется уже на начало 2021 года. Понятно, что провернуть такую грандиозное дельце без админресурса очень трудно. Вот почему, как считают наблюдатели, сейчас для Кивалова задача номер 1 сохранить позиции в городе и провести в горсовет свою партию. Как представляется, именно по этой причине Сергей Васильевич решил бороться и за пост городского головы.
Источник: ivasi.news
Теги: Международный гуманитарный университетЗемляОбщежитиеЗастройкаСкандалОдесаместные выборыКиваловКивалов Сергей
Коментарі:
comments powered by DisqusЗагрузка...
Наші опитування
Показати результати опитування
Показати всі опитування на сайті
